Estados Unidos bajo alerta por una inundación que ocurre una vez cada 1.000 años
Una combinación de río atmosférico y tormentas estacionarias podría provocar una inundación sin precedentes en EE. UU., con niveles previstos para un evento de cada 1.000 años.
3 min lectura

El centro de Estados Unidos se encuentra bajo amenaza por una combinación de factores meteorológicos que, en conjunto, podrían dar lugar a una "inundación de una vez cada mil años". Esta categorización no es un título sensacionalista, sino un término estadístico que expresa la improbabilidad —y al mismo tiempo la gravedad— del fenómeno en desarrollo.
La advertencia proviene de meteorólogos de AccuWeather, que utilizan datos de más de 190 fuentes globales, incluyendo la NOAA, agencias espaciales como la NASA, y universidades especializadas en climatología. En declaraciones oficiales, expresaron una profunda preocupación por la intensidad, extensión y duración de las lluvias previstas.
Según los modelos meteorológicos, las precipitaciones afectarán principalmente a zonas del noreste de Arkansas, el oeste de Kentucky y parte del valle del Mississippi. "Podrían acumularse hasta cuatro meses de lluvia en solo cinco días", advirtió Jonathan Porter, meteorólogo jefe de AccuWeather.
El fenómeno está asociado a un río atmosférico: una estrecha corriente de humedad transportada desde los trópicos que, en lugar de desplazarse, permanecerá estancada sobre una región ya vulnerable. Esta configuración, denominada también "bloqueo atmosférico", puede mantener las tormentas eléctricas y los aguaceros sobre las mismas áreas durante días.
Porter agregó que la principal preocupación es el carácter súbito y potencialmente mortal de estas inundaciones: "Las emergencias pueden desencadenarse en cuestión de segundos. Lo que empieza como una tormenta intensa puede convertirse rápidamente en una amenaza para la vida".
Además de las inundaciones repentinas, los expertos anticipan que el nivel de los ríos aumentará progresivamente durante la semana, generando un nuevo frente de riesgo para comunidades río abajo. Se esperan afectaciones importantes en centros urbanos y zonas agrícolas.
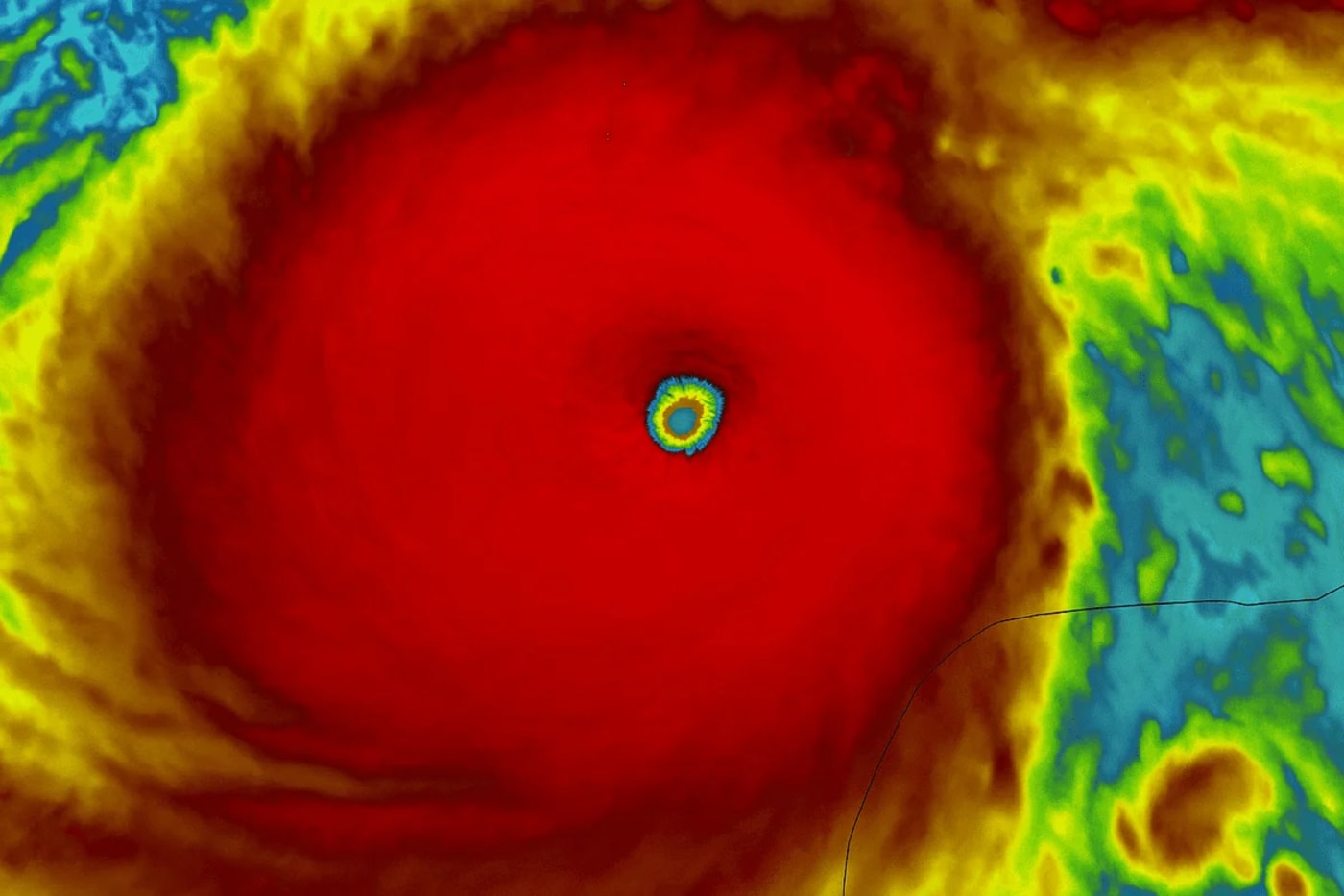
En la simulación por satélite, la intensidad del sistema es tan potente que el centro del huracán Milton aparece claramente definido, rodeado por una enorme masa de precipitaciones extremas, evidenciada por la densa "mancha roja" que alerta sobre los puntos de mayor acumulación.
El fenómeno, aunque singular, se enmarca dentro de una tendencia climática más amplia. "El cambio climático está amplificando estos eventos", advierten los investigadores. "Las lluvias extremas, antes raras, ahora se vuelven más comunes y peligrosas".
La recomendación general es clara: los residentes en zonas de riesgo deben estar preparados para evacuaciones rápidas, seguir las indicaciones de los servicios de emergencia y evitar cruzar áreas inundadas, incluso si parecen seguras a simple vista.
Este evento vuelve a poner sobre la mesa una pregunta cada vez más urgente: ¿están nuestras infraestructuras y políticas climáticas a la altura de los nuevos extremos que se avecinan?
Preguntas frecuentes
Es una forma de expresar estadísticamente un evento extremadamente raro, cuya probabilidad anual de ocurrencia es del 0,1 %. No significa que ocurra exactamente cada mil años, sino que es muy poco frecuente.
Es una banda estrecha de humedad que transporta grandes cantidades de vapor de agua desde los trópicos hacia latitudes medias. Cuando se estanca, puede provocar lluvias torrenciales prolongadas.
El noreste de Arkansas, el oeste de Kentucky y partes del valle del Mississippi son las más amenazadas, según AccuWeather y la NOAA.
Estar atentos a las alertas meteorológicas, preparar un plan de evacuación, evitar desplazamientos innecesarios y no intentar cruzar zonas inundadas bajo ningún motivo.
Continúa informándote

Descubren el tercer asteroide más rápido del Sistema Solar: así es 2025 SC79, el nuevo “viajero del crepúsculo”
El asteroide 2025 SC79, de 700 metros, completa una órbita solar en solo 127 días y se ha convertido en el tercer más rápido conocido del Sistema Solar

Científicos logran producir electricidad usando solo agua y silicio nanoporoso
Investigadores europeos consiguen generar electricidad usando agua y silicio nanoporoso, abriendo paso a una nueva fuente de energía limpia y autosostenible

Un dron con alas de polilla logra volar y orientarse sin usar inteligencia artificial
Ingenieros de la Universidad de Cincinnati crean un dron con alas de polilla que vuela sin IA, inspirado en el control natural de los insectos

EE.UU. endurece las sanciones a las petroleras rusas en plena exhibición nuclear del Kremlin
Washington sanciona a Rosneft y Lukoil mientras Moscú realiza ejercicios con armas nucleares y se suspenden los planes de una cumbre entre Trump y Putin

Una nueva datación sitúa la erupción de Thera antes del faraón Ahmose y reescribe la cronología del antiguo Egipto
Un nuevo análisis con radiocarbono revela que la erupción de Thera ocurrió antes del reinado de Ahmose, alterando la cronología del antiguo Egipto y del Mediterráneo oriental